Trânsito no Nova Mogilar, em Mogi das Cruzes, terá alteração a partir de sábado; veja mudanças
Avenida Louraci Della Nina Tavares passará a contar com mão única de direção; segundo a prefeitura, mudança busca organizar o trânsito
17/03/2026 09h36, Atualizado há 28 dias
Prefeitura realizou obras no canteiro central para receber as mudanças na via | Divulgação/PMMC
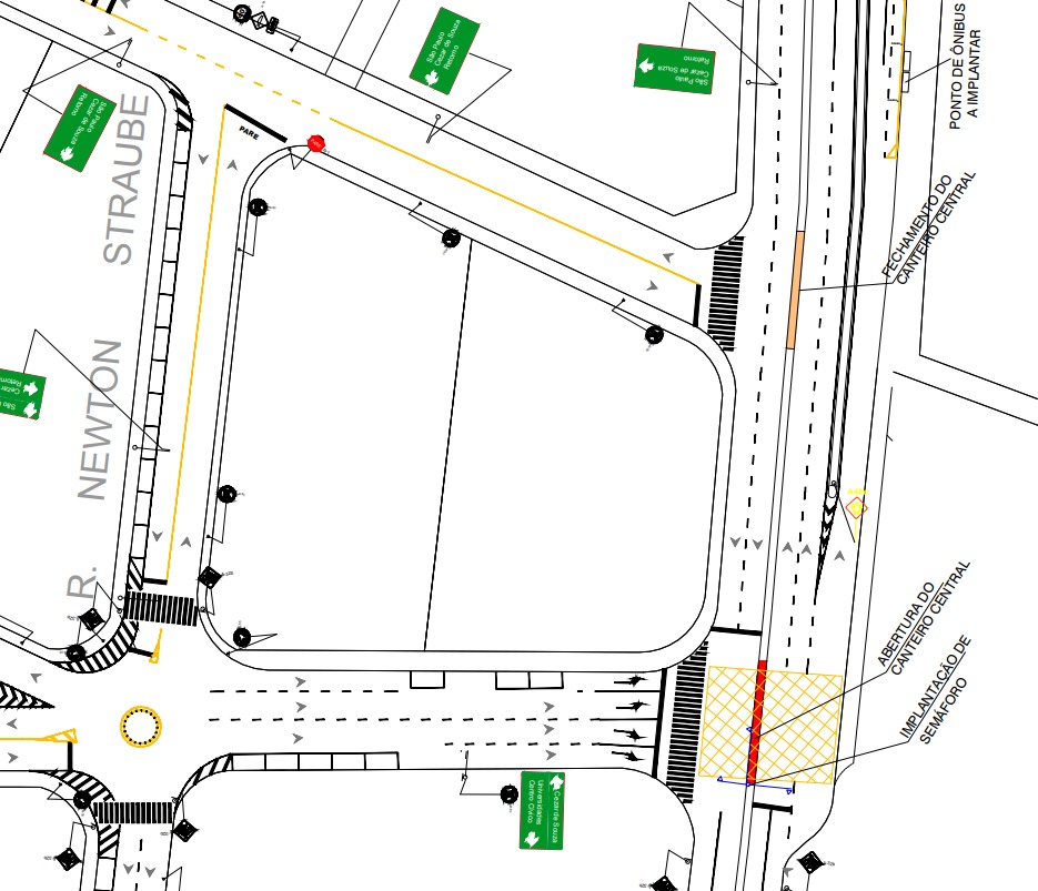
A Prefeitura de Mogi das Cruzes anunciou que irá alterar o trânsito na região da Avenida Francisco Rodrigues Filho, no Nova Mogilar, a partir do próximo sábado (21). A principal mudança é a implantação de mão única de direção na Avenida Louraci Della Nina Tavares, no trecho entre a Rua Newton Straube e a Avenida Francisco Rodrigues Filho.
Assista conteúdos exclusivos de O Diário no TikTok
Faça parte do canal de O Diário no WhatsApp
Acompanhe O Diário no Instagram e fique por dentro de tudo em tempo real.
Com a avenida passando a contar apenas com o sentido Avenida Francisco Rodrigues Filho, também será implantado um novo semáforo na esquina entre as duas vias. Além disso, uma nova sinalização, proibindo à conversão à direita na Avenida Francisco Rodrigues Filho, sentido Avenida Louraci Della Nina Tavares, será implantada. Veja o mapa:

Segundo a prefeitura, o objetivo das mudanças é melhorar a organização do trânsito e oferecer novas alternativas de deslocamento aos motoristas. Ainda segundo a prefeitura, a alteração ajudará a organizar a circulação de veículos e facilitar o acesso à via local, beneficiando principalmente os moradores dos condomínios da região.
Para os motoristas que trafegam pela Avenida Francisco Rodrigues Filho no sentido Centro, a alternativa será utilizar a conversão à direita para a Avenida Antônio de Almeida e seguir pela Rua Newton Straube, acessando posteriormente a Avenida Yoshiteru Onishi, sentido Mogi-Dutra.
Em comunicado à imprensa, a prefeitura informou que toda a região receberá reforço de sinalização horizontal e vertical para orientar os motoristas sobre as novas regras de circulação. A prefeitura recomendou, ainda, que os condutores redobrem a atenção à nova sinalização ao trafegar pela região nos primeiros dias após as mudanças.
A Secretaria Municipal de Mobilidade e Trânsito também informou que fará o acompanhamento das mudanças após a implantação das novas regras de circulação e que poderá realizar ajustes se necessário.